Dijual Cepat Sebidang Tanah di Lokasi Strategis Cimahi
Cimahi Utara, Cimahi Kota, Cimahi Kota
- Rp 6.750.000.492
Deskripsi dan Spesifikasi
SPESIFIKASI:
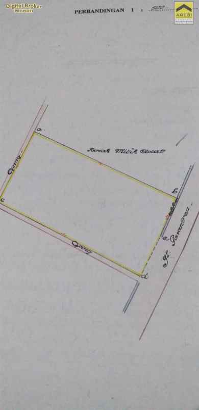
Luas Tanah (m2) : 804
Lebar Tanah (m) : 22
Panjang Tanah (m) : 36
Legalitas : SHM
Harga Per Meter: 8 juta
Orientasi Menghadap : Timur
Lebar Akses Jalan Depan Tanah : 8 m
Bebas Banjir : Ya
Sumber air bisa didapat dari : Sumur dan PAM
SELLING POINT:
- Lokasi berada di tempat strategis untuk dibangun tempat bisnis
- Keadaan permukaan tanah sudah rata
https://digitalbrokerproperti.net/janq25viUOE-dijual-cepat-sebidang-tanah-di-lokasi-strategis-cimahi (Ella S Hasanah - 1,1)
- Tayang Sejak 6 hari yang lalu
- Sertifikat SHM - Sertifikat Hak Milik
- Luas Tanah 804 m2
- Harga per meter 8.39 jt / m2
- Menghadap Timur
- Akses Jalan 8 m
Dilihat 38 kali
Calc. KPR
×
SELENGKAPNYA
Tanah Dijual di Cimahi Utara


