Dijual 3,5 are, jl. Raya Tukad Badung Renon Denpasar
Tukad Badung, Denpasar Kota
- Rp 6.825.000.000
Deskripsi dan Spesifikasi
DIJUAL TANAH SUPER EXCLUSIVE
JLN. TUKAD BADUNG UTAMA RENON DENPASAR
Deskripsi :
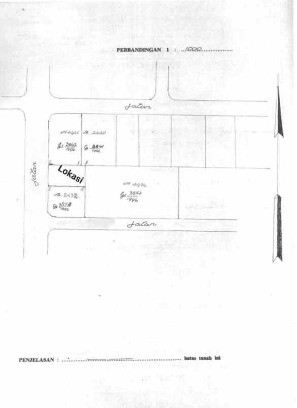
# Luas tanah 350 M2 (3,5 are)
# SHM (Sertifikat Hak Milik)
# Lebar depan -+ 14,5 mtr
# Langsung bisa dibangun
# ITR Zona perdagangan jasa
# Jalan UTAMA Tkd. Badung Renon
# Tanah sdh rata datar & padat
# Bisa dibangun Kantor, ruko, dll
Dijual dgn hrg 1,950 Milyard/are
NEGO SUPER HALUS
Terima kasih
NB :
MAAF TANPA PERANTARA
KHUSUS PEMBELI LANGSUNG
(BWL 3/2/26 & KK 28/8/24)
JLN. TUKAD BADUNG UTAMA RENON DENPASAR
Deskripsi :
# Luas tanah 350 M2 (3,5 are)
# SHM (Sertifikat Hak Milik)
# Lebar depan -+ 14,5 mtr
# Langsung bisa dibangun
# ITR Zona perdagangan jasa
# Jalan UTAMA Tkd. Badung Renon
# Tanah sdh rata datar & padat
# Bisa dibangun Kantor, ruko, dll
Dijual dgn hrg 1,950 Milyard/are
NEGO SUPER HALUS
Terima kasih
NB :
MAAF TANPA PERANTARA
KHUSUS PEMBELI LANGSUNG
(BWL 3/2/26 & KK 28/8/24)
- Tayang Sejak 3 bulan yang lalu
- Sertifikat SHM - Sertifikat Hak Milik
- Luas Tanah 350 m2
- Harga per meter 19.5 jt / m2
- Menghadap Barat
- Akses Jalan 10 m
Dilihat 28 kali
Calc. KPR
×
SELENGKAPNYA
Tanah Dijual di Renon












